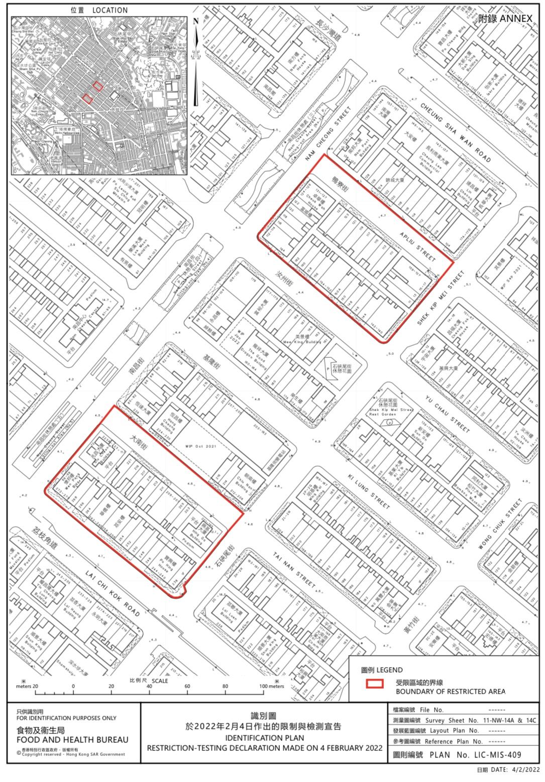
本港今日(4日)新增131宗新型肺炎個案,其中130宗屬本地感染,源頭不明佔59宗再創新高,另錄得約195宗初步確診。政府今晚6時圍封啟德新區沐寧街7號嘉匯第1-3座及第5-9座,其後於7時圍封西營盤第三街208號毓明閣第1座,再於7時半圍封黃大仙翠竹花園第14座,要求範圍內的人士接受強制檢測,目標明早完成行動。另外,政府於7時圍封深水埗兩個區域,包括鴨寮街107-131號(單號)、石硤尾街11-17號(單號)、汝州街140-164號(雙號)、南昌街112-126號(雙號)圍繞的大廈,以及大南街195-223A號(單號)、石硤尾街1F號、荔枝角道238-272號(雙號)及南昌街66-72號(雙號)範圍內的大廈,但不包括店舖。
啟德嘉匯深水埗污水樣本帶病毒
政府發言人表示,由於啟德嘉匯及深水埗兩個圍封區域排放的污水樣本對新冠病毒檢測呈陽性,懷疑在屋苑內有隱形患者,經評估後相關區域感染風險有機會較高,政府決定就相關區域作出限制與檢測宣告。
政府發言人亦表示,由於近日發現數宗曾在西營盤毓明閣第1座居住的初步陽性檢測個案和陽性檢測個案,及在黃大仙翠竹花園第14座發現一宗曾居住的陽性檢測個案,顯示涉及變異病毒株,經評估後相關區域感染風險有機會較高,政府決定就相關區域作出限制與檢測宣告。








