dadblk3 madblk3
adblk3
adblk3
本地
出版:2022-Mar-09 18:06
更新:2022-Mar-09 18:06

封區檢測|葵涌石籬(一)邨石寧樓、屯門友愛邨愛明樓、愛勇樓及凱德花園1至3座、鑽石山帝峯豪苑、順天邨天權樓圍封

分享:
相關人士需要接受強制檢測。(資料圖片/林俊源攝)

相關人士需要接受強制檢測。(資料圖片/林俊源攝)

adblk4

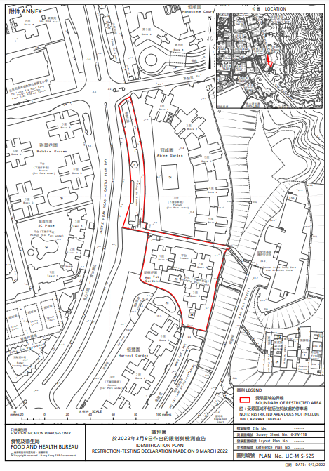
第五波疫情持續,政府今日(9日)圍封葵涌石籬(一)邨石寧樓、屯門友愛邨愛明樓、凱德花園1至3座、鑽石山帝峯豪苑及順天邨天權樓,要求範圍內的人士接受強制檢測,目標明日完成行動。

  • 石籬(一)邨石寧樓:下午2時起圍封,需要於今晚9時前接受檢測,目標明日正午12時完成行動
  • 友愛邨愛明樓:下午3時起圍封,需要於今晚10時前接受檢測,目標明日下午1時完成行動
  • 凱德花園1至3座:下午4時起圍封,需要於今晚9時前接受檢測,目標明日下午1時完成行動
  • 帝峯豪苑:下午5時起圍封,需要於今晚10時前接受檢測,目標明日下午1時完成行動
  • 友愛邨愛勇樓:下午5時起圍封,需要於今晚10時前接受檢測,目標明日下午1時完成行動
  • 順天邨天權樓:下午6時起圍封,需要於今晚10時半前接受檢測,目標明日下午1時完成行動
adblk5

政府發言人表示,由於上述大廈排放的污水樣本對新冠病毒檢查呈陽性,懷疑在大廈內有隱形患者,經評估後相關區域感染風險有機會較高,故採取圍封檢測行動。

葵涌石籬(一)邨石寧樓。 屯門友愛邨愛明樓圍封檢測。 屯門凱德花園1至3座圍封檢測。 屯門友愛邨愛勇樓圍封檢測。 鑽石山帝峯豪苑圍封檢測。
俗稱「方艙醫院」的青衣社區隔離設施。(資料圖片/陳奕釗攝) 俗稱「方艙醫院」的青衣社區隔離設施。(資料圖片/陳奕釗攝) 俗稱「方艙醫院」的青衣社區隔離設施。(資料圖片/陳奕釗攝) 俗稱「方艙醫院」的青衣社區隔離設施。(資料圖片/陳奕釗攝) 俗稱「方艙醫院」的青衣社區隔離設施。(資料圖片/陳奕釗攝) 俗稱「方艙醫院」的青衣社區隔離設施。(資料圖片/陳奕釗攝) 俗稱「方艙醫院」的青衣社區隔離設施。(資料圖片/陳奕釗攝) 俗稱「方艙醫院」的青衣社區隔離設施。(資料圖片/陳奕釗攝) 俗稱「方艙醫院」的青衣社區隔離設施。(資料圖片/陳奕釗攝) 俗稱「方艙醫院」的青衣社區隔離設施。(資料圖片/陳奕釗攝) 俗稱「方艙醫院」的青衣社區隔離設施。(資料圖片/陳奕釗攝) 俗稱「方艙醫院」的青衣社區隔離設施。(資料圖片/陳奕釗攝) 俗稱「方艙醫院」的青衣社區隔離設施。(資料圖片/陳奕釗攝) 俗稱「方艙醫院」的青衣社區隔離設施。(資料圖片/陳奕釗攝) 俗稱「方艙醫院」的青衣社區隔離設施。(資料圖片/陳奕釗攝) 俗稱「方艙醫院」的青衣社區隔離設施。(資料圖片/陳奕釗攝) 俗稱「方艙醫院」的青衣社區隔離設施。(資料圖片/陳奕釗攝) 俗稱「方艙醫院」的青衣社區隔離設施。(資料圖片/陳奕釗攝) 俗稱「方艙醫院」的青衣社區隔離設施。(資料圖片/陳奕釗攝)

ADVERTISEMENT

立即更新 /下載AM730手機APP 體驗升級功能

ad

恭喜你!獲取1分 !

更多積分任務