dadblk3 madblk3
adblk3
adblk3
本地
出版:2022-Jun-24 17:59
更新:2022-Jun-24 17:59

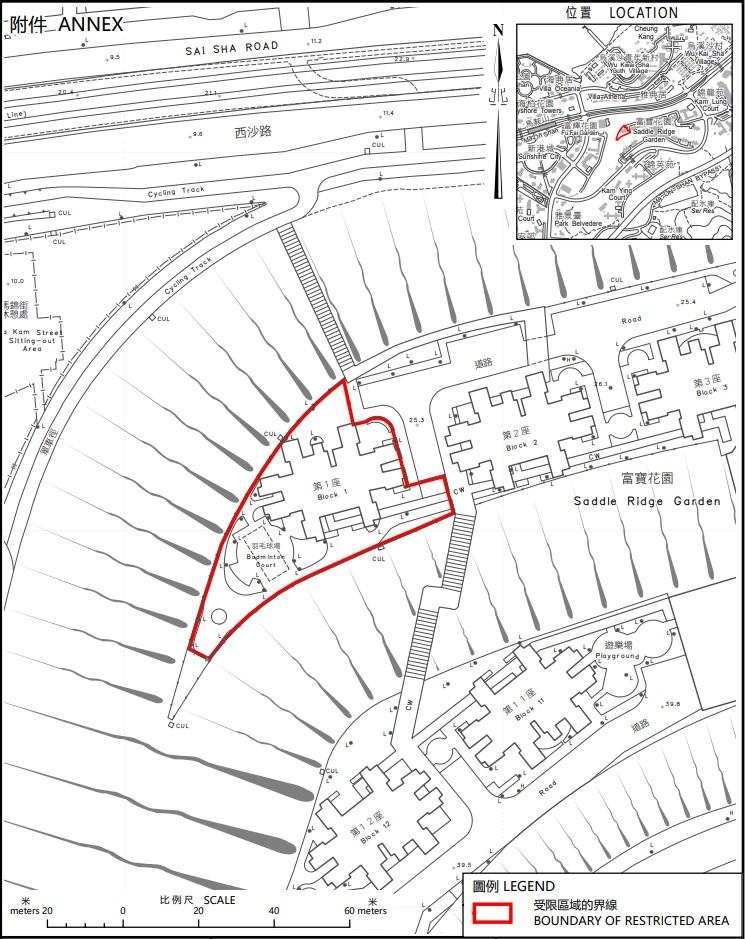
封區檢測︱馬鞍山富寶花園第一座圍封 居民今晚11時前須接受檢測

分享:
封區檢測︱馬鞍山富寶花園第一座圍封 居民今晚11時前須接受檢測

封區檢測︱馬鞍山富寶花園第一座圍封,居民今晚11時前須接受檢測。(資料圖片)

adblk4

政府今日下午宣布,圍封馬鞍山富寶花園第一座要求範圍內的人士接受強制檢測,目標明日上午8時半前解封。

  • 馬鞍山富寶花園第一座:下午5時起圍封,受檢人士需要於今晚11時前檢測,目標明日上午8時半完成行動

政府發言人表示,根據第599J 章,政府可按防疫需要,作出限制與檢測宣告。政府審視一籃子因素,包括污水檢測病毒量、相關確診個案情況、其他環境因素等,通過風險評估,決定就相關區域作出限制與檢測宣告。

政府今日下午宣布,圍封馬鞍山富寶花園第一座

政府今日下午宣布,圍封馬鞍山富寶花園第一座。(政府新聞處圖片)

ADVERTISEMENT

立即更新 /下載AM730手機APP 體驗升級功能

ad

恭喜你!獲取1分 !

更多積分任務