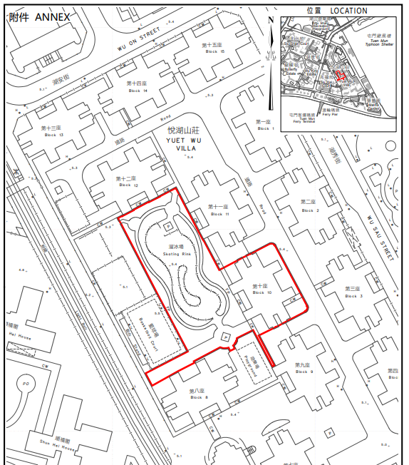
屯門悅湖山莊第十座圍封,居民今晚11時前須接受檢測。(資料圖片)
政府今日下午宣布,圍封屯門悅湖山莊第十座,要求範圍內的人士接受強制檢測,目標明日上午11時前解封。
- 屯門悅湖山莊第十座:下午5時起圍封,受檢人士需要於今晚11時前檢測,目標上午11時完成行動
政府發言人表示,根據第599J 章,政府可按防疫需要,作出限制與檢測宣告。政府審視一籃子因素,包括污水檢測病毒量、相關確診個案情況、其他環境因素等,通過風險評估,決定就相關區域作出限制與檢測宣告。









