尖沙咀金鑾大廈被圍封後,大廈仍有店舖未關門。(鍾式明攝)
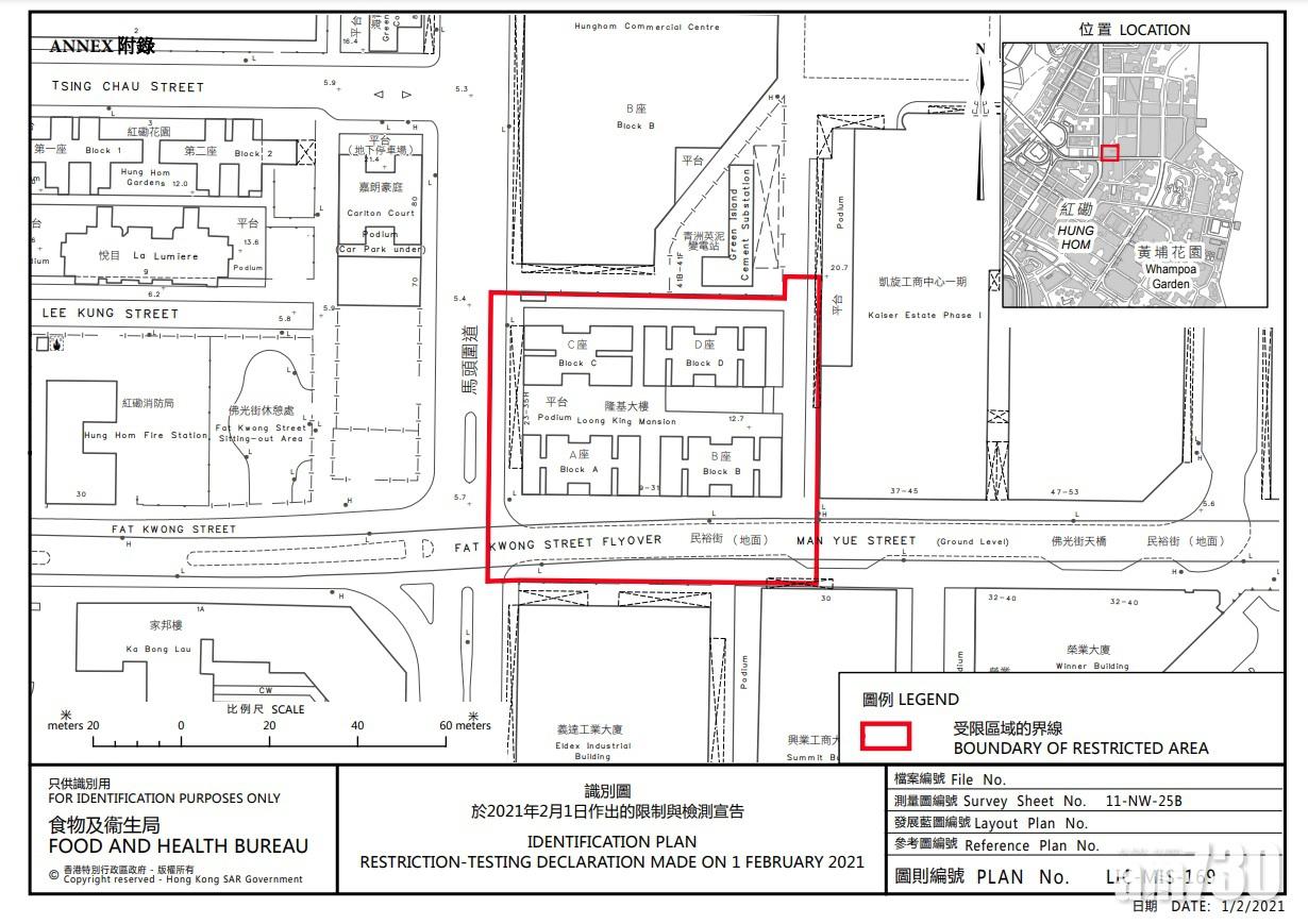
當局晚上8時再宣布圍封紅磡隆基大樓A、B、C、D座。(鍾式明攝)
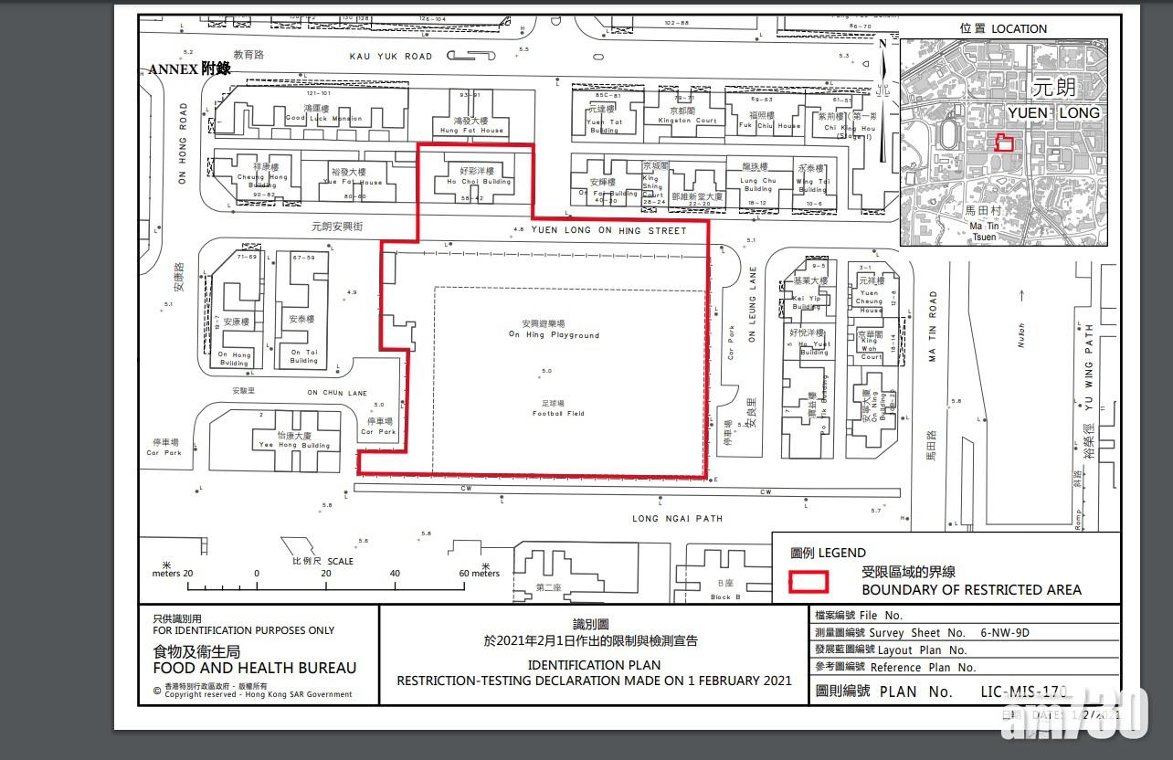
政府今日引用《預防及控制疾病(對若干人士強制檢測)規例》(第599J章),作出限制與檢測宣告,自下午7時起分別限制在尖沙咀及元朗指明「受限區域」,即彌敦道80號金鑾大廈及元朗安興街42至58A號元朗好彩洋樓內的人士。其後當局在晚上8時,再宣布把紅磡馬頭圍道23-35號隆基大樓列為指明「受限區域」,半小時後再公布圍封油麻地新填地街142-148號及眾坊街59A、59B、59C號,以及新填地街150-160號、永星里2A號。
當局表示,範圍內的人士須留在其處所並按政府安排接受強制檢測。受檢人士須在其處所等候,直至區內所有已識別的受檢人士完成檢測,而相關檢測結果亦已獲大致確定,方可離開其處所。政府目標是在明日上午約7時左右完成此行動,以達致「同心抗疫,小區『清零』」的目標。
元朗好彩洋樓一帶店舖早於入夜前已關門。(黃文山攝)
尖沙咀一段金馬倫道亦遭封閉。(鍾式明攝)








