颶風米爾頓逼近天空黑壓壓,民眾周二從佛州西岸駕車前往東面。(路透社)
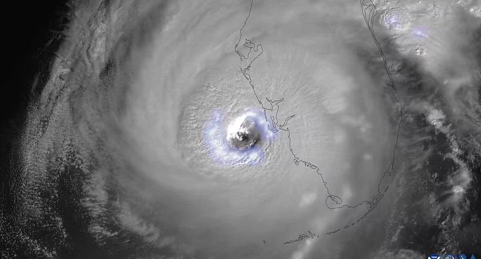
被形容為世紀風暴的5級颶風米爾頓來勢洶洶,預料當地周三深夜直撲美國佛羅里達州西岸地區,當局勒令約600萬名居民疏散,警告留下來的人生存機會渺茫,惟仍有人死守家園。坦帕灣區(Tampa Bay area)有逾330萬人口,周邊有馬納提等縣,以及坦帕和聖彼德斯堡等城市,料颶風米爾頓將為該區帶來嚴重破壞。美國國家海洋及大氣管理局(NOAA)發放片段顯示,觀測飛機飛越颶風米爾頓收集風暴數據時,窗外是暴雨,強烈氣流導致飛機猛烈搖晃。
颶風米爾頓|坦帕市長:留下來,你會死
颶風米爾頓周二一度減弱為4級,但其後報道指為5級。美國國家颶風中心周二最新預報稱,颶風米爾頓位於坦帕西南面650公里,風速最高每小時260公里,預測周三深夜於佛州灣岸登陸。當局較早時預測風暴潮水位將高達10呎(約3米),甚至達到15呎(約4.5米),街道將變澤國。有輿論認為若災情嚴重,或成為影響11月大選結果的「十月驚奇」(October surprise)。佛州西岸9月26日才遭颶風海倫蹂躪,這次更是100年來首遭強勁颶風正面吹襲,國家颶風中心警告米爾頓將是「危險巨大颶風」。若今次風災處理不當,執政民主黨的選情或受拖累,角逐總統的副總統賀錦麗恐無緣入主白宮;總統拜登推遲往德國和安哥拉的外訪坐鎮白宮,以便應對米爾頓來襲,增加聯邦政府的支援。他周二警告,米爾頓或會是百年來最嚴重的風暴,敦促受影響地區居民立即撤離,「這是生與死的問題」。
坦帕市長Jane Castor向居民直言,「若選擇留下來,你會死。」她強調,預測該市的水位將達15呎,足以淹沒房屋,「若在屋內,基本上你是在棺材內」。周二大批民眾駕車離開坦帕,佛州近8,000個油站約17%油站的燃油已售罄。佛州金銀島(Treasure Island)不久前才遭颶風海倫吹襲,風暴過後的雜物垃圾還堆在街道上,居民又要避難離開,市內街上空無一人猶如死城。















