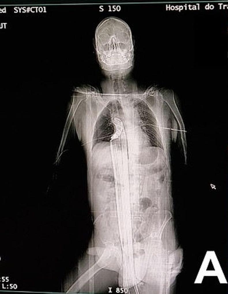
掃描圖像顯示,長鋼條從男子下體插進體內,直到肺部下方。(互聯網)
巴西醫生團隊近日在《國際外科手術病例報告期刊》發表罕見病例,一名57歲男子被一條長約91厘米(約2.98英尺)的鋼條,從下體插入、貫穿到肺部,危險狀況看來會致命,但男子竟奇蹟生還。
醫生指,該名男子被長約91厘米的鋼條,從下體插入並貫穿上半身,插到肺部與橫隔膜附近位置,肝臟被穿刺,所幸避過心臟。男子被送院急救,醫生初步檢查發現,其心率、血壓和血氧狀況,出奇地都正常。
醫生判斷男子有性命之虞
醫生當時判斷,男子有生命危險,於是立即動手術。剖腹後,醫生將部分胸骨切開,從體內取出鋼條後,再縫合腹部。
男子康復進度難以置信
手術後,男子在ICU僅3天,就轉到普通病房繼續治療,恢復進度很好。手術後僅2天,他就能下床走路,也可如常進食。
報告指,男子在手術後12天再接受檢查,醫生發現他身體狀況不錯,只有尿道有異常疤痕組織,醫生將為他安排手術治療。惟報告未有提及男子是否需要接受鋼條移除手術的跟進治療。
為何男子會被鋼條插進身體?
為何會被鋼條插進身體?報告只簡單說明他從5米高處跌倒或滑落,導致鐵條插入身體,又指建築工人常遇上這種情況。














