颶風米爾頓|佛州300萬人斷電 職棒大球場屋頂被吹走
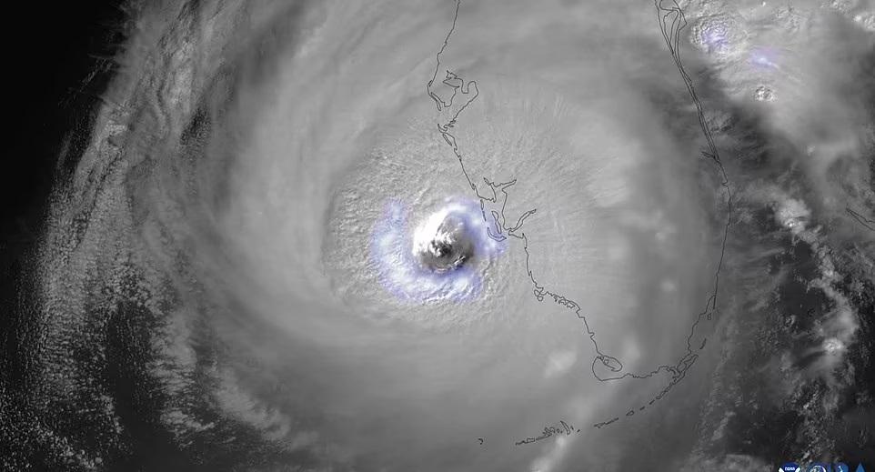
颶風米爾頓登陸美國佛州後,雖然已一路由5級減至3級再減至2級,但其威力仍舊不容小覷。
在佛州政府的指示下,美國職棒坦帕灣光芒隊(Tampa Bay Rays)的純品康納球場 (Tropicana Field)成為臨時的救難基地,當局在裏頭搭建了數千張簡易床,讓前來支援的救災人員休息。
風速每小時193公里
當地時間9日晚間8點30分左右,米爾頓在西耶斯塔島 (Siesta Key) 附近登陸,持續風速每小時193公里。強勁的暴風雨把球場三壘上方的屋頂掀開一個大洞,球場裏滿是掉落的屋頂碎片,臨時基地完全被摧毁。
當局已將球場內的人員移至其他安全地點,據官員表示,沒有人受傷。據悉該球場於1990年啟用,是大聯盟目前7座室內球場中,唯一僅存的屋頂封閉式巨蛋室內球場。
發布全市飲用水警報
另外,聖彼得堡地區的兩個下水道工廠被關閉,並且由於總水管破裂,在午夜發布了全市飲用水警報,暴風雨也導致超過300萬人斷電。另外,中央大道傳出有一台建築起重機倒塌。
緊急救援人員和急救人員已被撤離道路,並將繼續停止服務,直到情況和天氣好轉。美國國家氣象局表示,預計當地時間10日整天,米爾頓將繼續襲擊佛羅里達半島中部,然後進入大西洋。
文章授權轉載自《中天新聞網》,按此查看原始文章
OMG. We all had a collected gasp when we saw this from our reporter. The fabric on the roof of Tropicana Field is shredded. #StPete #Milton pic.twitter.com/36UKLO9cK6
— Jason Adams (@JasonAdamsWFTS) October 10, 2024
🚨🚨🇺🇲🇺🇲🌀🌀#Milton Update
— World Crisis Tracker (@WorldCrisi19621) October 10, 2024
Hurricane Milton: more than 2 million without power in Florida as category 3 storm makes landfall
Pray for Florida 🙏 #HurricaneMilton #HuracanMilton#Milton #MiltonFlorida https://t.co/JPRRloRiA2 pic.twitter.com/U22UpRu8k6

















