政府繼續採取「圍封強檢」行動。(資料圖片/陳奕釗攝)
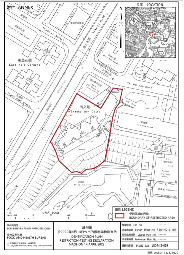
第五波疫情持續,政府今日(14日)圍封大窩口尚文苑及元朗水邊圍邨湖水樓,要求範圍內的人士接受強制檢測,目標明日解封。
• 大窩口尚文苑:下午4時起圍封,需要於今晚9時前檢測,目標明日中午12時完成
• 元朗水邊圍邨湖水樓:下午4時半起圍封,需要於今晚10時前接受檢測,目標明日下午約1時完成
政府發言人表示,根據第599J章,政府可按防疫需要,作出限制與檢測宣告。政府審視一籃子因素,包括污水檢測病毒量、相關確診個案情況、其他環境因素等,通過風險評估,決定就相關區域作出限制與檢測宣告。






