市建局重建九龍城衙前圍道/賈炳達道項目,料提供4300住宅單位。(市建局提供)
市建局公布開展九龍城衙前圍道/賈炳達道大型重建項目,地盤面積約3.7萬平方米,預計將會提供4,300多個中小型住宅單位。
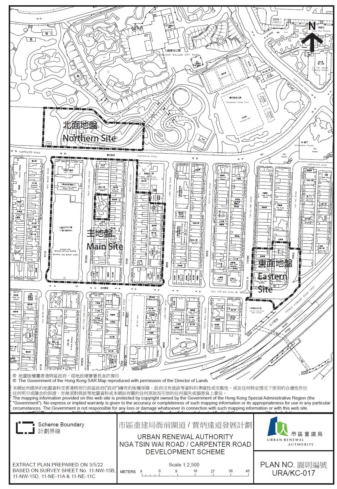
項目重建範圍包括3個地盤,當中主地盤界線毗連賈炳達道、龍崗道、衙前圍道及侯王道;北面地盤位於賈炳道公園範圍;東面地盤界線大概毗連現有樓宇、太子道東、打鼓嶺道休憩花園及打鼓嶺道。至於位於衙前塱道56至66號的「御門‧前」並不包括在項目範圍。
部分賈炳道公園建新政府綜合大樓
市建局又指,會於現時賈炳道公園部分範圍,興建新的政府綜合大樓,並重置九龍城街市,預計2030年落成。市建局亦打算將地盤內的衙前塱道及南角道,改劃為兩條至少闊18米的綠化行人步道,連接新綜合大樓,行人步道兩旁亦會提供地舖,期望項目內現有的特色店舖和食肆能夠原區經營。有關項目主要地盤預料2036至2037年落成。
料影響1700個住戶商戶
市建局估計,重建範圍受影響業權約1,000個,樓齡平均58歲,九成沒有升降機,受影響住戶約1,600個、商戶140個,擬興建總樓面面積27.4萬平方米,當中約20.2萬平方米為住宅,非住宅樓面面積2.5萬平方米,政府、機構或社區設施約4.7萬平方米。
老店主感不捨 議員憂加劇區內交通擠塞
有在南角道經營茶葉舖超過60年的老店主表示,雖然舊區翻新屬好事,但他從出生已在這區生活,認為有人情味,擔心重建後可能要搬到其他地方,會感到不捨,亦未能享受重建後的好處。他指,今次重建項目涉及收購多條街的業權,會影響大量食肆的生意,認為市建局要協助租戶處理搬遷問題。
立法會議員楊永杰支持重建項目,但不滿市建局搶奪九龍城休憩用地的行為,認為項目將九龍城街市原址用作住宅發展,在賈炳達道公園重置九龍城街市變相打劫九龍城區一塊休憩用地,當中兩條行車路改為行人通道,將加劇區內交通擠塞及道路負荷,令九龍城原先交通擠塞的區域變得更加擠塞,同時關注車位供應能否滿足區內需求。
楊永杰要求市建局在項目增設智能停車場,提供更多泊車位,並且增加綠化面積及休憩設施,作為九龍城區居民失去休憩用地的補償。
市建局重建九龍城衙前圍道/賈炳達道項目
項目位置
- 主地盤 : 毗連賈炳達道、龍崗道、衙前圍道及侯王道
- 北面地盤 : 位於賈炳達道公園範圍內
- 東面地盤 : 毗連太子道東、打鼓嶺道休憩花園及打鼓嶺道
總地盤面積
- 約37,060平方米
受影響樓宇
- 涉及約120個街號 (平均樓齡約58年)
受影響業權*
- 估計約1,000個業權
受影響住戶*
- 估計約1,600個
受影響地舖*
- 約140個
*視乎凍結人口調查結果
擬建住宅樓面面積
- 約202,420平方米
擬建住宅單位
- 約4,350個中小型單位 (實用面積約400呎)







