從赤洲採集含恐龍骨骼化石的岩石標本。(古蹟辦)
發展局長甯漢豪公布,香港首次發現恐龍化石,發現地點位於香港東北水域,香港地質公園範圍內的赤洲。她表示是次發現為香港古生態研究提供新證據,意義重大。為便利專家稍後作相關研究,漁護署今日(23日)起封閉整個赤洲,直至另行通知。
初步鑑定樣本屬白堊紀時期
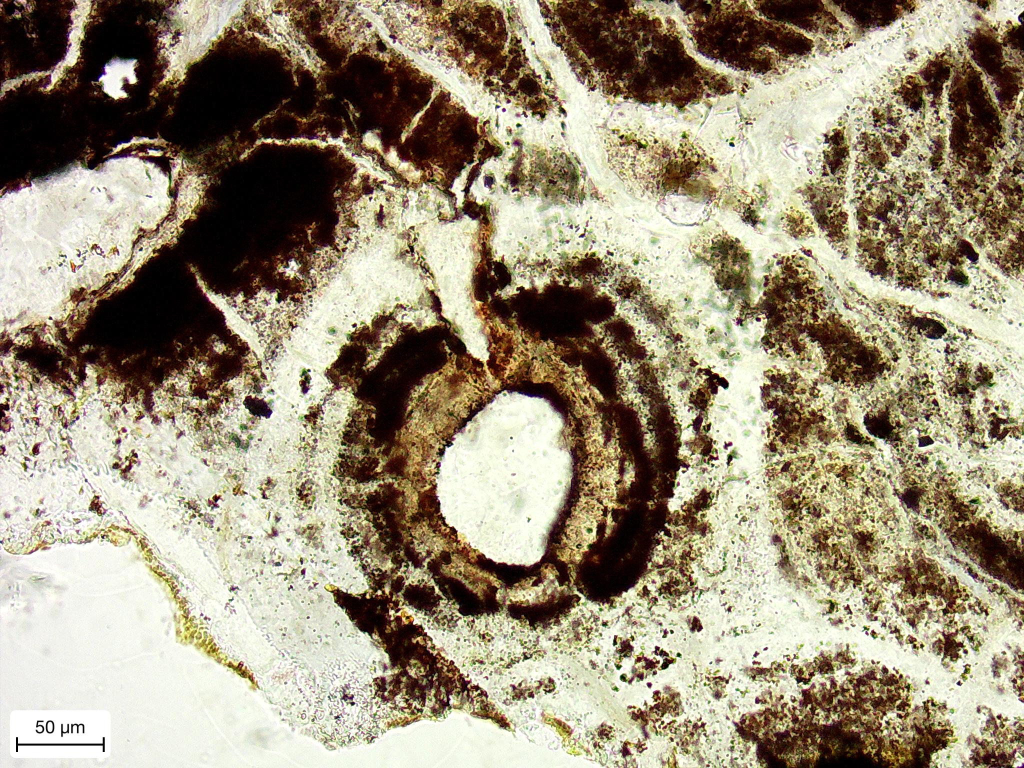
發展局古物古蹟辦事處今年3月接獲漁農自然護理署通報,赤洲的沉積岩可能含有脊椎動物化石,便隨即委聘中國科學院古脊椎動物與古人類研究所專家來港進行野外考察、化石樣本研究等工作。古脊椎所專家、古蹟辦和漁護署人員今年六月及八月到赤洲實地考察,採集岩石樣本。
專家進行骨組織切片初步鑑定後,確認樣本為恐龍骨骼化石,屬白堊紀時期,距今約1億4,500萬年前至6,600萬年前的大型年長恐龍。該恐龍可能死後被沙石淹埋,其後被大水沖刷出地表,然後再次被埋藏於發現地點。由於發現的恐龍骨骼分佈散亂,且破碎風化,在原地死亡後被埋藏的機會較低。
香港恐龍化石|沙田站/太古坊隨處可見古生物化石?
現正於香港文物探知館庭院蓋建的臨時工作室及展示空間,預計今年年底可開放供市民觀看專家清修化石的過程、展示清修後的恐龍化石、舉行教育及推廣活動等,詳情如下:
















