大角咀中美樓今晚7時起封區強檢,大廈一名52歲男住戶上月底抵達澳洲後確診。(陳奕釗攝)
中匯街晚上7時起被封閉。(陳奕釗攝)
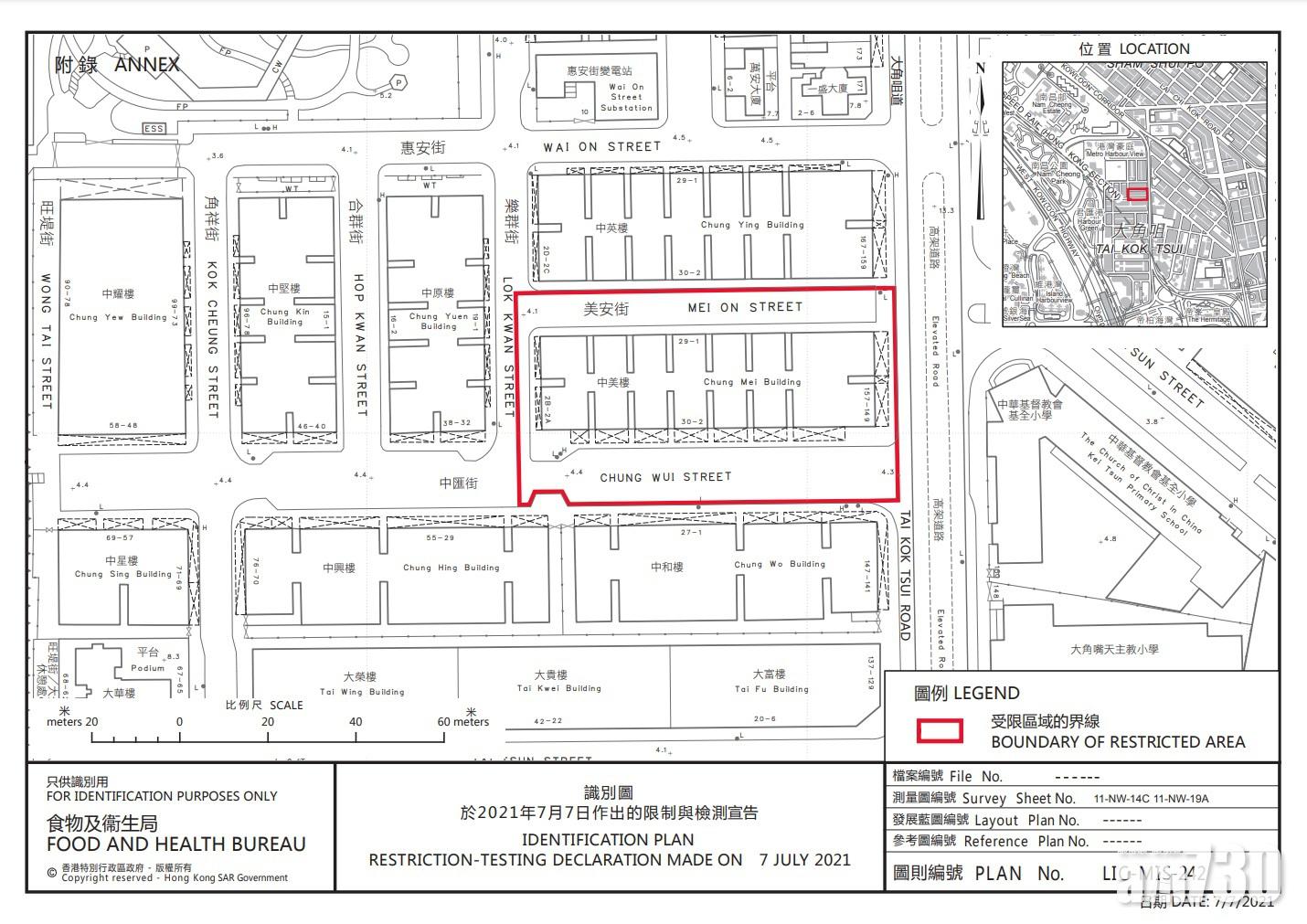
【19:00更新】衞生防護中心公布,一名52歲男子6月26日晚上由本港乘搭酷航TR981航班往新加坡,逗留數小時後翌日凌晨再搭酷航TR18航班飛往澳洲墨爾本。他6月24日離港前檢測呈陰性,及至6月29日在澳洲的新型肺炎測試呈陽性,並驗出Delta L452R變異病毒株。病人現時沒有病徵,其在港曾居住的大角咀大角咀道149-157號中美樓,今晚7時起被當局圍封,強制範圍內居民檢測,目標明早7時完成行動。病人離港前在葵涌九龍貿易中心1座21樓工作,最後上班日期為6月8日。
相關新聞:防疫措施|戲院泳池人數上限增至85% 食肆安排限聚令維持不變
政府發言人解釋,由於今日收到澳洲通報這宗非本地確診個案,而且初步顯示涉及變種病毒株,經評估後相關區域感染風險有機會較高,政府決定作出「封區」行動。此外,根據最新安排,與涉及變異病毒株的確診個案居於同一大廈的人士,須於公布確診個案計起第3、7、12及19日進行強制檢測。
居民進入「封區」範圍前需要排隊登記。(陳奕釗攝)
大角咀中美樓「封區」範圍。(政府新聞處)
----------
【17:46更新】本港今日(7日)沒有新增本地個案,已連續30日「零本地確診」,暫錄得少於5宗初步確診。
不過,有消息指一名港人移民到澳洲後,在當地確診新型肺炎,病人離港前居於大角咀,料屬於輸出個案,其在港居住的大廈或被納入強制檢測公告。
大角咀中美樓一名52歲男住戶,上月底抵達澳洲後確診,消息指他是移民當地。(Pexels用戶Kon Karampelas圖片)









