相關人士需要接受強制檢測。(資料圖片/蘇文傑攝)
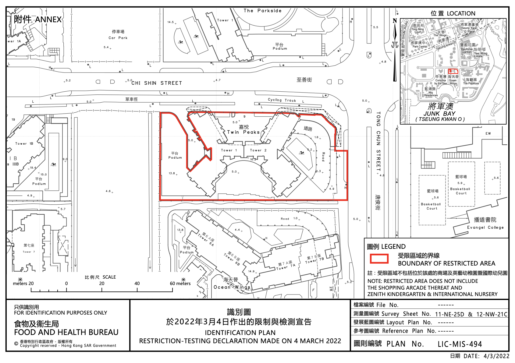
第五波疫情持續,政府今日(4日)圍封九龍城德朗邨德珊樓、德琦樓及德璋樓、沙田瀝源邨祿泉樓及將軍澳嘉悅第1座及第2座,要求範圍內的人士接受強制檢測,目標明日完成行動。
- 德朗邨德珊樓及德琦樓:下午1時起圍封,需要於今晚8時前接受檢測,目標明日正午12時完成行動
- 瀝源邨祿泉樓:下午4時起圍封,需要於今晚8時半前接受檢測,目標明日下午1時完成行動
- 德朗邨德璋樓:下午5時半起圍封,需要於今晚10時半前接受檢測,目標明日下午1時完成行動
- 嘉悅第1座及第2座:晚上7時起圍封,需要於今晚11時前接受檢測,目標明日下午1時完成行動
政府發言人表示,由於上述大廈排放的污水樣本對新冠病毒檢查呈陽性,懷疑在大廈內有隱形患者,經評估後相關區域感染風險有機會較高,故採取圍封檢測行動。






















